Actualités

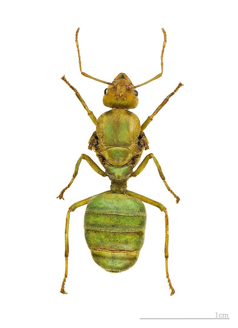
Oecophylla Smaragdina
Lundi, 19 Février 2024
La fourmi tisserande
C'est une fourmi arboricole: les colonies créent leur nid en hauteur dans les arbres, en tissant et collant les feuilles entre elles, grâce à la soie produite par leurs larves.
Elle a de multiples talents, dont celui de protéger les arbres qu'elle occupe contre les insectes ravageurs. On peut la trouver en zone tropicale-subtropicale, mais seule l'espèce australienne a cette magnifique couleur orange et verte.
Je vous recommande le magnifique film réalisé par Jordan Dean, en accès libre sur sa chaîne Youtube (sous-titres en français activables sur ordinateur). Son site internet contient beaucoup de photos dont est issue la photo ci-dessus.

